Throughout my biology bachelor I attended a semester abroad at Udayana University in Bali Indonesia from March until the end of June.
Due to the unique location of Bali in the center of the coral triangle it was perfect to study marine organisms and conduct research about coastal ecosystems.
Below is a brief overview of some of the topics we discussed:
Seagrass is a vascular, flowering plant that lives entirely underwater, supporting biodiversity, stabilizing coasts, filtering water, and storing carbon. Indonesia hosts 13 species (9 in Bali), but seagrass is threatened by climate change, pollution, sediment runoff, and physical damage from boats. Conservation strategies include eco-friendly boating, marine protected areas, pollution control, restoration (seed broadcasting, transplantation), and monitoring with drones and satellites. Seaweed, by contrast, is algae, widely farmed in Indonesia for food and industry.
Mangroves cover 25% of global mangrove area in Indonesia, providing climate regulation, coastal protection, and nursery habitats, while storing up to four times more carbon than rainforests. They face threats from sea-level rise, pollution, development, and aquaculture. We learned about FADS, an artificial root system to prevent erosion, and visited restoration sites engaging local communities.
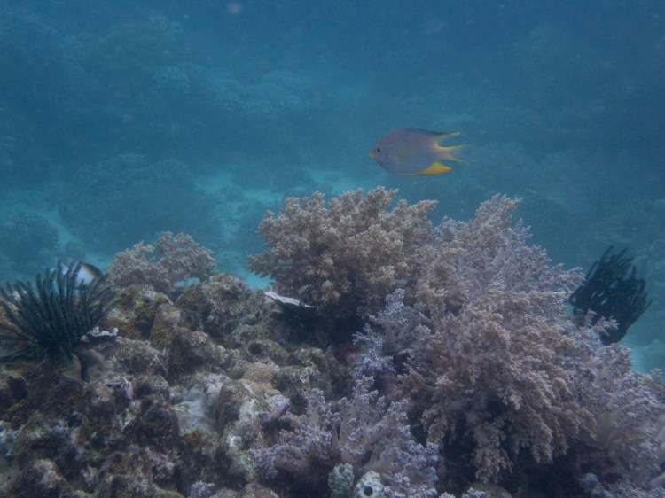
Corals are invertebrates hosting symbiotic algae (zooxanthellae) that provide most of their energy. They thrive in warm, shallow, nutrient-poor waters but are highly vulnerable to bleaching caused by heat stress, pollution, and destructive fishing. Under stress, corals expel their symbiotic algae, losing most of their energy. This occurs when heat damages the algae’s cellular machinery, producing harmful molecules that can harm the coral’s DNA and cells. The coral’s immune system responds by ejecting the algae. While bleaching can be fatal, recovery is possible if conditions improve. We observed various restoration efforts, including Biorock technology, MARRS reef stars, and the LINI Foundation’s community-based projects.
For my research project, I assessed the health of three coral genera Acropora, Pocillopora, and Montipora at Nusa Dua using CoralWatch color charts to estimate zooxanthellae density. While the statistical analysis showed no significant differences among the genera, Pocillopora appeared to be the healthiest overall. There is still much to learn about how coral restoration can best be carried out to ensure maximum reef resilience in the face of climate change and other threats. Factors such as the health status, survival rate, adaptability, and zooxanthellae composition of transplanted corals remain poorly understood so it would be highly interesting to carry out further research. Collecting more data during a longer time span, surveying more than 3 coral genera as well as comparing the results with several other study locations would perhaps give more evidence and probably a significant result.

























